bão Ragasa
Bão Ragasa đổ bộ Quảng Ninh - Hải Phòng trong ít giờ tới, Chủ tịch Hà Nội khuyến cáo người dân hạn chế ra đường
Trưa 25/9, bão Ragasa đổ bộ vào Quảng Ninh - Hải Phòng với sức gió cấp 8-9. Bão sẽ gây mưa lớn cho toàn bộ khu vực Đông Bắc Bộ, đồng bằng Bắc Bộ và Lào Cai.
Cường độ bão số 9 Ragasa vẫn mạnh ở cấp siêu bão 15-16, hướng về Quảng Ninh - Hải Phòng, Hà Nội có thể nằm trên tâm bão đi qua
Dự báo khi đổ bộ Quảng Ninh - Hải Phòng trưa 25/9, bão còn cấp 9, giật cấp 11. Sau khi vào đất liền bão tiếp tục di chuyển rất nhanh theo hướng tây, suy yếu thành một áp thấp nhiệt đới, đi qua khu vực Hà Nội, Phú Thọ.
Bão Ragasa được ghi nhận là cơn bão mạnh nhất thế giới năm 2025, vì sao?
Rạng sáng 23/9, bão Ragasa sẽ vào Biển Đông.
Siêu bão Ragasa dự báo mạnh hơn bão Yagi, "mắt bão" khổng lồ đường kính hơn 70km, sẽ đi vào khu vực nào nước ta?
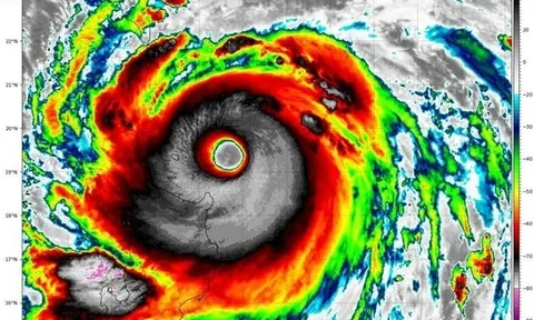
Ảnh vệ tinh Himawari của Nhật Bản sáng 22/9 cho thấy "mắt bão khổng lồ", đường kính hơn 70km, đang xoáy dữ dội trên bầu trời Bắc Luzon (Philippines).
Quân đội sẵn sàng giúp chính quyền và nhân dân ứng phó bão Ragasa
Ngày 22/9, Bộ Tổng Tham mưu Quân đội nhân dân Việt Nam có Công điện số 5436/CĐ-TM về việc chủ động ứng phó với bão Ragasa.
Thông tin bão Ragasa mới nhất: Mạnh thành siêu bão giật trên cấp 17, đường đi và khả năng tàn phá khủng khiếp mức nào, khu vực nào Việt Nam bị ảnh hưởng?
Dự báo đường đi và khu vực ảnh hưởng của bão Ragasa rất đáng chú ý.
Dự báo thời tiết 20/9, tin mới nhất về bão Ragasa: Gió giật cấp 17, hướng đi đáng lo ngại như thế này
Từ ngày 23/9 khu vực Bắc Biển Đông (bao gồm đặc khu Hoàng Sa) có thể chịu ảnh hưởng của bão Ragasa với cường độ mạnh nhất có thể lên tới cấp 14-16, giật trên cấp 17, sóng biển cao trên 10m, biển động dữ dội.
Tin mới nhất về bão Ragasa: Cường độ bão có thể đạt cấp siêu bão cấp 16 (184 - 201km/h), giật trên cấp 17, khả năng ảnh hưởng Việt Nam từ 24-26/9
Cơn bão này khả năng ảnh hưởng trực tiếp đến đất liền nước ta khoảng ngày 24-26/9.