
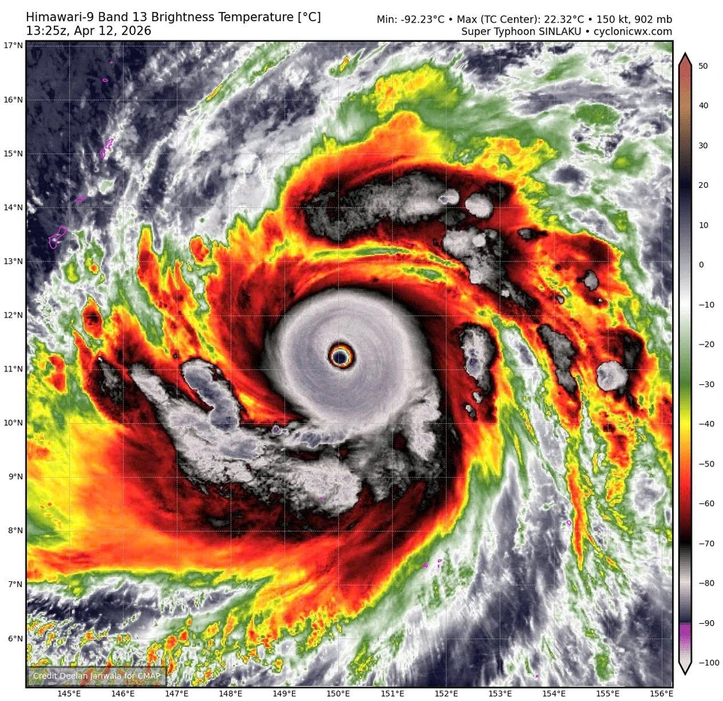
Tin tức thời tiết dự báo mới nhất từ báo Dân trí, tối 12/4, Trung tâm Dự báo khí tượng thủy văn quốc gia quốc gia cho biết bão Sinlaku đã mạnh lên siêu bão với sức gió đạt cấp 16, giật trên cấp 17.
Theo cơ quan khí tượng, đây là cơn bão đầu tiên trong năm 2026 đạt cường độ này, đồng thời là lần đầu xuất hiện trong tháng 4 kể từ bão Surigae (2021) và chỉ là lần thứ 3 kể từ năm 1977.
Hiện tại, Sinlaku cũng là cơn bão mạnh nhất thế giới trong năm 2026.
Theo báo Tiền phong, hình thành từ một áp thấp nhiệt đới ngoài khơi xa của Philippines, Sinlaku nhanh chóng trở thành siêu bão chỉ sau hơn 2 ngày nhờ điều kiện vô cùng thuận lợi như nhiệt độ mặt nước biển cao, thông lượng nhiệt từ đại dương dồi dào, độ đứt gió tầng cao yếu.
Theo Trung tâm Dự báo Khí tượng Thuỷ văn Quốc gia, bão rất ít khả năng đi vào Biển Đông. Cụ thể, trong đêm 12/4 và ngày 13/4, bão Sinlaku có khả năng di chuyển theo hướng Tây Bắc với tốc độ khoảng 15km/h.
Sau đó, Sinlaku sẽ đổi hướng di chuyển lên phía Bắc, nhiều khả năng tiếp tục đổi hướng một lần nữa thành hướng Bắc Đông Bắc. Khoảng ngày 16-17/4, bão di chuyển tới vùng biển phía Đông của Nhật Bản và cường độ sẽ giảm cấp dần.
Theo các chuyên gia, trong bối cảnh trái đất nóng lên, nguy cơ xuất hiện ngày càng nhiều các siêu bão. Tại Biển Đông năm 2026, số lượng bão có thể không nhiều như một số năm trước nhưng nguy cơ xuất hiện các cơn bão rất mạnh, bất thường khi nhiệt độ mặt biển cao.